View

Notice

Share

LBC Notice of Filing Petiton for Detachment

NOTICE OF FILING PETITION FOR DETACHMENT BY THE CITY OF FAIRBANKS WITH LOCAL BOUNDARY COMMISSION (LBC)

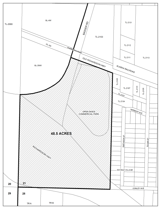
The City of Fairbanks (Petitioner), a home rule city in the Fairbanks North Star Borough, has filed a detachment by local action petition with the LBC. The petitioner’s representative is John C. Brainerd, Deputy City Attorney. The territory proposed by the city for detachment consists of territory totaling approximately 0.076 square miles (48.5 acres). The detachment would decrease the area of the city from 33.85 to approximately 33.77 square miles. The territory is on the eastern edge of the city, and is south of the intersection of Old Richardson Highway and Badger Road. The territory is the site of a self-service storage facility and caretaker unit known as “Forbes Storage” and a drive-up restaurant known as “Spicy Thai.”

Standards governing detachment from cities are established in Alaska Statutes 29.06.040-060; and 3 AAC 110.257-265; and 3 AAC 110.900-990. Procedures governing city detachment by the local action method are set out in AS 29.06.040 and 3 AAC 110.400-700.

The legal description of the territory proposed for detachment can be found in the petition. The petition and related documents, including a map of the territory proposed for detachment, are available for public review at the following locations, days, and times:  

  1. City of Fairbanks Clerk’s Office, 800 Cushman St., Fairbanks, AK 99701
    Monday- Friday, 8:00 a.m. to 5:00 p.m.
  2. Fairbanks North Star Borough Noel Wien Library, 1215 Cowles St., Fairbanks, AK 99701
    Monday-Thursday, 10:00 a.m. to 9:00 p.m.; Friday, 10:00 a.m. to 6:00 p.m.; Saturday, 10:00 a.m. to 5:00 p.m.; Sunday, 1 to 5:00 p.m. (closed Sundays in June, July, and August)
  3. Fairbanks North Star Borough Clerk’s Office, 809 Pioneer Rd., Fairbanks, AK 99701
    Monday-Friday, 8:00 a.m. to 5:00 p.m.
  4. The LBC website available anytime.

Questions concerning the proposed detachment may be directed to LBC staff (part of the Alaska Department of Commerce, Community, and Economic Development) using the contact information listed below. Any interested person may file written comments with the LBC regarding the detachment petition. The LBC has relaxed 3 AAC 110.700(d) so the public is not required to send an original if an electronic comment has already been filed. Additionally, a person with the capacity to sue may file a responsive brief supporting or opposing the petition with the LBC. Written comments and responsive briefs must be filed in accordance with 3 AAC 110.480. A person who files a responsive brief (as distinguished from a written comment) gains certain procedural rights and duties during the petition proceedings. Responsive briefs and written comments must be received by the LBC by 4:30 pm, July 23, 2015 in the office below:

 

Local Boundary Commission, 550 W. 7th Ave., Ste. 1640, Anchorage, AK 99501
Phone: 907-269-4559 or 269-4587 Fax: 907-269-4563 Email: LBC@alaska.gov

 

 

It is recommended that persons interested in receiving future LBC notices, updates, and materials by email subscribe to the LBC notice list server by visiting http://list.state.ak.us/soalists/DCED-LocalBoundaryCommission/jl.htm, and following the instructions.

 

Attachments, History, Details

Attachments

Revision History

Created 5/26/2015 1:10:36 PM by jrphipps-graham
Modified 5/26/2015 1:11:11 PM by jrphipps-graham

Details

Department: Commerce, Community, and Economic Development
Category: Public Notices
Sub-Category:
Location(s): Statewide
Project/Regulation #:
 
Publish Date: 5/26/2015
Archive Date: 7/24/2015
 
Events/Deadlines:
  • LBC Written Comment Period
    5/26/2015 1:00pm - 7/23/2015 4:30pm
    View on Map